Baugebietserschließung
Amtliche Bekanntmachung
Zu den Öffentlichen Bekanntmachungen
des Umlegungsbeschlusses, der Auslegung der Bestandskarte und des Bestandsverzeichnisses für das Umlegungsgebiet "Östlich der Egartstraße", Grosselfingen und des Umlegungsbeschlusses, der Auslegung der Bestandskarte und des Bestandsverzeichnisses für das Umlegungsgebiet "Unter Lauen II", Grosselfingen
I. Umlegungsbeschluss für den sich in Aufstellung befindlichen Bebauungsplan "Östlich der Egartstraße", Grosselfingen
Der Umlegungsausschuss der Gemeinde Grosselfingen hat nach Anhörung der Eigentümer am 24.06.2020 gem. § 47 des Baugesetzbuches (BauGB) in der Fassung der Bekanntmachung der Neufassung vom 23.09.2004 (BGBI. I S.2414), in der jeweils gültigen Fassung, im Bereich für den sich in Aufstellung befindlichen Bebauungsplan "Östlich der Egartstraße" der Gemarkung Grosselfingen
Östlich der Flst. 597/1, Teil von 603/2, 603/3, 606/1, 2833 (Egartstraße) Nördlich der Flst. Teil von 603/2, 603/4, 604, 604/2, 608/1, 610, 617/2 (Schrietgasse)
Westlich der Flst. 582, 619/3, 620/3, 624/6
Südlich der Flst. Teil von 585/4, 584/12, 586/1
die Durchführung einer Umlegung beschlossen. In das Verfahren sind folgende Grundstücke (Flurstücke) der Gemarkung Grosselfingen einbezogen:
Teil von 585/4 (ca. 1404m²), 586/2, 587, 588, 589, 590, 591, 597/2, 601, Teil von 603/2 (ca. 4491m²), 612, 613/1, 619/1
Die Umlegung trägt die Bezeichnung "Östlich der Egartstraße". Das Umlegungsgebiet ist in der Bestandskarte dargestellt. Durch die Umlegung sollen die im Umlegungsgebiet liegenden Grundstücke in der Weise neu geordnet werden, daß nach Lage, Form und Größe für die bauliche oder sonstige Nutzung zweckmäßig gestaltete Grundstücke entstehen.
II. Umlegungsbeschluss für den sich in Aufstellung befindlichen Bebauungsplan "Unter Lauen II", Gemarkung Grosselfingen
Der Umlegungsausschuss der Gemeinde Grosselfingen hat nach Anhörung der Eigentümer am 24.06.2020 gem. § 47 des Baugesetzbuches (BauGB) in der Fassung der Bekanntmachung der Neufassung vom 23.09.2004 (BGBI. I S.2414), in der jeweils gültigen Fassung, im Bereich für den sich in Aufstellung befindlichen Bebauungsplan "Unter Lauen II" der Gemarkung Grosselfingen
Östlich der vorhandenen Bebauung Flst. 553, 1730/2, 1730/3, 1730/14, 1730/16, 1939, 1973 Nördlich der Flst. 466, 468, 470, 471, 551/1
Westlich der Flst. 467, 1988, 1883, Teil von 1995
Südlich der Flst. Teil von 1960, 1971, 1996
die Durchführung einer Umlegung beschlossen. In das Verfahren sind folgende Grundstücke (Flurstücke) der Gemarkung Grosselfingen einbezogen:
Teil von 467 (ca. 666m²), Teil von 1883 (ca. 962m²), Teil von 1960 (ca. 134m²), 1972, 1975, 1976, 1977, 1978, 1979, 1980, 1981, 1982, 1983, 1984, 1985, 1986, 1987, Teil von 1995 (ca. 953m²) Die Umlegung trägt die Bezeichnung "Unter Lauen II". Das Umlegungsgebiet ist in der Bestandskarte dargestellt. Durch die Umlegung sollen die im Umlegungsgebiet liegenden Grundstücke in der Weise neu geordnet werden, daß nach Lage, Form und Größe für die bauliche oder sonstige Nutzung zweckmäßig gestaltete Grundstücke entstehen.
III. Allgemein gültige Teile der Bekanntmachung
- Durchführung
Die Durchführung der Umlegungen obliegt nach § 3 Abs. 1 der Verordnung der Landesregierung des Ministeriums für Verkehr und Infrastruktur und des Finanz- und Wirtschaftsministeriums zur Durchführung des Baugesetzbuchs (BauGB-DVO) vom 02. März 1998 (GBl. S. 185) in der aktuellen Fassung in Verbindung mit dem Anordnungsbeschluss des Gemeinderats vom 20.05.2020 dem nichtständigen Umlegungsausschuss. - Aufforderung zur Anmeldung von Rechten
Die Inhaber eines nicht im Grundbuch eingetragenen Rechts an einem Grundstück oder an einem das Grundstück belastenden Recht, eines Anspruchs mit dem Recht auf Befriedigung aus dem Grundstück oder eines persönlichen Rechts, das zum Erwerb, zum Besitz oder zur Nutzung des Grundstücks berechtigt oder den Verpflichteten in der Benutzung des Grundstücks beschränkt, werden aufgefordert, innerhalb eines Monats von der Bekanntgabe dieser Bekanntmachung an ihre Rechte beim Umlegungsausschuss, Gemeinde Grosselfingen, Bruderschaftsstraße 66, 72415 Grosselfingen anzumelden.
Werden Rechte erst nach Ablauf dieser Frist angemeldet oder nach Ablauf einer vom Umlegungsausschuss gesetzten Frist glaubhaft gemacht, so muss der Berechtigte die bisherigen Verhandlungen und Festsetzungen gegen sich gelten lassen, wenn der Umlegungsausschuss dies bestimmt.
Der Inhaber eines in Absatz 1 bezeichneten Rechts muss die Wirkung eines vor der Anmeldung eingetretenen Fristablaufs ebenso gegen sich gelten lassen, wie der Beteiligte, dem gegenüber die Frist durch Bekanntmachung des Verwaltungsaktes zuerst in Lauf gesetzt worden ist. - Verfügungs- und Veränderungssperre sowie Vorkaufsrecht der Gemeinde
Von dieser Bekanntmachung an bis zur Bekanntmachung der Unanfechtbarkeit des Umlegungsplans dürfen nach § 51 BauGB im Umlegungsgebiet nur mit schriftlicher Genehmigung des Umlegungsausschusses- ein Grundstück geteilt oder Verfügungen über ein Grundstück und über Rechte an einem Grundstück getroffen oder Vereinbarungen abgeschlossen werden, durch die einem anderen ein Recht zum Erwerb, zur Nutzung oder Bebauung eines Grundstücks oder Grundstücksteils eingeräumt wird oder Baulasten neu begründet, geändert oder aufgehoben werden;
- erhebliche Veränderungen der Erdoberfläche oder wesentlich wertsteigernde, sonstige Veränderungen der Grundstücke vorgenommen werden;
- nicht genehmigungs-, zustimmungs- oder anzeigepflichtige, aber wertsteigernde bauliche Anlagen errichtet oder wertsteigernde Änderungen solcher Anlagen vorgenommen werden;
- genehmigungs-, zustimmungs- oder anzeigepflichtige bauliche Anlagen errichtet oder geändert werden.
- Vorhaben, die vor dem Inkrafttreten der Veränderungssperre baurechtlich genehmigt worden sind und Vorhaben, von denen die Gemeinde nach Maßgabe des Bauordnungsrechts Kenntnis erlangt hat und mit deren Ausführung vor dem Inkrafttreten der Veränderungssperre hätte begonnen werden dürfen, sowie Unterhaltungsarbeiten und die Fortführung einer bisher ausgeübten Nutzung werden von der Veränderungssperre nicht berührt.
Ein bei der Gemeinde Grosselfingen eingereichtes Baugesuch gilt gleichzeitig als Antrag auf Genehmigung durch den Umlegungsausschuss.
Nach § 24 Abs. 1 Nr. 2 BauGB steht der Gemeinde Grosselfingen beim Kauf von Grundstücken, die in dieses Verfahren einbezogen sind, von dieser Bekanntmachung an bis zur Bekanntmachung des Umlegungsplans ein gesetzliches Vorkaufsrecht zu.
- Vorarbeiten auf Grundstücken
Eigentümer und Besitzer haben nach § 209 Abs. 1 BauGB zu dulden, dass Beauftragte der zuständigen Behörden und von der Gemeinde Grosselfingen beauftragte Stellen zur Vorbereitung der von ihnen nach dem Baugesetzbuch zu treffenden Maßnahmen Grundstücke betreten und Vermessungen oder ähnliche Arbeiten ausführen. - Bekanntgabe des Umlegungsbeschlusses .
Die Umlegungsbeschlüsse gelten mit dem auf die ortsübliche Bekanntmachung folgenden Tag als bekannt gegeben. - Öffentliche Auslegung der Bestandskarte und des Bestandsverzeichnisses
Für die Flurstücke des Umlegungsgebiets "Unter Lauen II" und des Umlegungsgebiets „Östlich der Egartstraße“ wurden Bestandskarten und ein Bestandsverzeichnisse nach § 53 Abs. 1 BauGB gefertigt. Die Bestandskarten und das Bestandsverzeichnisse I liegen gemäß § 53 Abs. 2 BauGB in der Zeit vom
13.07.2020 bis einschließlich 10.08.2020
im Bürgermeisteramt der Gemeinde Grosselfingen, Bruderschaftsstraße 66, 72415 Grosselfingen, Zimmer 2, Montag bis Freitag während der Dienststunden Montag – Freitag von 7:45 bis 11:15 Uhr und Mittwochnachmittag von 15:00 bis 18:00 Uhr öffentlich aus und können dort von jedermann eingesehen werden. Die Bestandskarten weisen die bisherige Lage und Form der Grundstücke der Umlegungsgebiete aus und bezeichnen die Eigentümer nach Ordnungsnummern. Im Bestandsverzeichnis I sind für jedes Grundstück aufgeführt:1. die im Grundbuch eingetragenen Eigentümer;
2. die grundbuch- und katastermäßige Bezeichnung der Grundstücke unter Angabe von Größe und Nutzungsart, sowie der Lagebezeichnung bzw. Straße und Hausnummer.
Im Bestandsverzeichnis II sind die im Grundbuch in Abteilung II eingetragenen Lasten und Beschränkungen aufgeführt. In das Bestandsverzeichnis II ist nach § 53 Abs. 4 Baugesetzbuch die Einsicht jedem gestattet, der ein berechtigtes Interesse darlegt.Die Beteiligten im Umlegungsverfahren können gegebenenfalls eine Berichtigung dieser Unterlagen beantragen. - Rechtsbehelfsbelehrung
Der Umlegungsbeschluss kann nur durch einen Antrag auf gerichtliche Entscheidung angefochten werden (§217 BauGB). Der Antrag ist innerhalb von sechs Wochen seit der Bekanntmachung bei der Gemeinde Grosselfingen einzureichen. Die Gemeinde Grosselfingen hat den Antrag dem Landgericht Stuttgart, Kammer für Baulandsachen, vorzulegen. Der Antrag muss den Verwaltungsakt bezeichnen, gegen den er sich richtet. Er soll die Erklärung, inwieweit der Verwaltungsakt angefochten wird, und einen bestimmten Antrag enthalten. Er soll die Gründe sowie die Tatsachen und Beweismittel angeben, die zur Rechtfertigung des Antrags dienen. Es wird darauf hingewiesen, daß vor der Kammer für Baulandsachen Anträge in der Hauptsache nur über einen vertretungsberechtigten Rechtsanwalt gestellt werden können (§ 222 Abs. 3 Satz 2 BauGB). Gemäß § 224 (1) BauGB hat der Antrag auf gerichtliche Entscheidung keine aufschiebende Wirkung.
Gemeinde Grosselfingen, den 24.06.2020
gez. Franz Josef MöllerBürgermeister
Protokoll über die Bürgerinformationsveranstaltung am 29.01.2020
zu den Bebauungsplänen
"Östlich der Egartstraße"
"Unter Lauen"
"Nördlicher Ortseingang"
Protokoll vom 29.01.2020 (PDF|43 KB)
Einladung zu einer Informationsveranstaltung zum Bebauungsplan „Östlich der Egartstraße“
Am 29.01.2020 im Sitzungssaal des Rathauses Grosselfingen
Der Gemeinderat hat in seiner öffentlichen Sitzung am 18.12.2019 beschlossen, den Bebauungsplan “Östlich der Egartstraße“ im beschleunigten Verfahren nach § 13a Baugesetzbuch aufzustellen. Siehe hierzu die öffentliche Bekanntmachung mit Übersichtplan im Mitteilungsblatt Nr. 51 vom 20.12.2019 oder auf der Homepage der Gemeinde.
Obwohl im beschleunigten Verfahren auf eine frühzeitige Beteiligung der Öffentlichkeit nach § 3 Abs. 1 BauGB verzichtet werden kann, findet im Interesse eines transparenten Dialogs mit den Bürgern über diese wichtige Planung dennoch eine frühzeitige Beteiligung der Öffentlichkeit in Form einer Informationsveranstaltung am 29.01.2020 um 18:00 Uhr statt.
Die Öffentlichkeit (hierzu zählen auch Kinder und Jugendliche) wird hierbei über die allgemeinen Ziele und Zwecke sowie die voraussichtlichen Auswirkungen der Planung öffentlich unterrichtet und es wird Gelegenheit zur Äußerung und Erörterung gegeben.
Nach dieser Informationsveranstaltung besteht ab dem 30.01.2020 weitere Gelegenheit die allgemeinen Ziele und Zwecke sowie die voraussichtlichen Auswirkungen der Planung im Rathaus Grosselfingen, Zimmer 2, während der üblichen Sprechzeiten bis Freitag, 14. Februar 2020 einzusehen.
Im oben genannten Zeitraum (30.01.-14.02.2010) können von der Öffentlichkeit Äußerungen, schriftlich oder zur Niederschrift, im Rathaus Grosselfingen, Zimmer 2, vorgebracht werden. Es wird gebeten die volle Anschrift anzugeben.
Unterlagen zu diesem Verfahren können im genannten Zeitraum auch über die nachfolgenden Links abgerufen werden.
Entwicklungskonzept "Östlich der Egartstr." (PDF|218 KB)
Grundzüge der städtebaulichen Entwicklung "Östlich der Egartstr." (PDF|859 KB)
Einladung zu einer Informationsveranstaltung zum Bebauungsplan „Unter Lauen II“
Am 29.01.2020 im Sitzungssaal des Rathauses Grosselfingen
Der Gemeinderat hat in seiner öffentlichen Sitzung am 18.12.2019 beschlossen, den Bebauungsplan „Unter Lauen II“ im beschleunigten Verfahren nach § 13b Baugesetzbuch aufzustellen. Siehe hierzu die öffentliche Bekanntmachung mit Übersichtplan im Mitteilungsblatt Nr. 51 vom 20.12.2019 oder auf der Homepage der Gemeinde.
Obwohl im beschleunigten Verfahren auf eine frühzeitige Beteiligung der Öffentlichkeit nach § 3 Abs. 1 BauGB verzichtet werden kann, findet im Interesse eines transparenten Dialogs mit den Bürgern über diese wichtige Planung dennoch eine frühzeitige Beteiligung der Öffentlichkeit in Form einer Informationsveranstaltung am 29.01.2020 um 18:30 Uhr statt.
Die Öffentlichkeit (hierzu zählen auch Kinder und Jugendliche) wird hierbei über die allgemeinen Ziele und Zwecke sowie die voraussichtlichen Auswirkungen der Planung öffentlich unterrichtet und es wird Gelegenheit zur Äußerung und Erörterung gegeben.
Nach dieser Informationsveranstaltung besteht ab dem 30.01.2020 weitere Gelegenheit die allgemeinen Ziele und Zwecke sowie die voraussichtlichen Auswirkungen der Planung im Rathaus Grosselfingen, Zimmer 2, während der üblichen Sprechzeiten bis Freitag, 14. Februar 2020 einzusehen.
Im oben genannten Zeitraum (30.01.-14.02.2010) können von der Öffentlichkeit Äußerungen, schriftlich oder zur Niederschrift, im Rathaus Grosselfingen, Zimmer 2, vorgebracht werden. Es wird gebeten die volle Anschrift anzugeben.
Unterlagen zu diesem Verfahren können im genannten Zeitraum auch über die nachfolgenden Links abgerufen werden.
Entwicklungskonzept "Unter Lauen II" (PDF|214 KB)
Grundzüge der städtebaulichen Entwicklung "Unter Lauen II" (PDF|881 KB)
Einladung zu einer Informationsveranstaltung zum Bebauungsplan „Nördlicher Ortseingang“
Am 29.01.2020 im Sitzungssaal des Rathauses Grosselfingen
Der Gemeinderat hat in seiner öffentlichen Sitzung am 18.12.2019 beschlossen, den Bebauungsplan „Nördlicher Ortseingang“ im beschleunigten Verfahren nach § 13b Baugesetzbuch aufzustellen. Siehe hierzu die öffentliche Bekanntmachung mit Übersichtplan im Mitteilungsblatt Nr. 51 vom 20.12.2019 oder auf der Homepage der Gemeinde.
Obwohl im beschleunigten Verfahren auf eine frühzeitige Beteiligung der Öffentlichkeit nach § 3 Abs. 1 BauGB verzichtet werden kann, findet im Interesse eines transparenten Dialogs mit den Bürgern über diese wichtige Planung dennoch eine frühzeitige Beteiligung der Öffentlichkeit in Form einer Informationsveranstaltung am 29.01.2020 um 19:00 Uhr statt.
Die Öffentlichkeit (hierzu zählen auch Kinder und Jugendliche) wird hierbei über die allgemeinen Ziele und Zwecke sowie die voraussichtlichen Auswirkungen der Planung öffentlich unterrichtet und es wird Gelegenheit zur Äußerung und Erörterung gegeben.
Nach dieser Informationsveranstaltung besteht ab dem 30.01.2020 weitere Gelegenheit die allgemeinen Ziele und Zwecke sowie die voraussichtlichen Auswirkungen der Planung im Rathaus Grosselfingen, Zimmer 2, während der üblichen Sprechzeiten bis Freitag, 14. Februar 2020 einzusehen.
Im oben genannten Zeitraum (30.01.-14.02.2010) können von der Öffentlichkeit Äußerungen, schriftlich oder zur Niederschrift, im Rathaus Grosselfingen, Zimmer 2, vorgebracht werden. Es wird gebeten die volle Anschrift anzugeben.
Unterlagen zu diesem Verfahren können im genannten Zeitraum auch über die nachfolgenden Links abgerufen werden.
Entwicklungskonzept "Nördlicher Ortseingang" (PDF|259 KB)
Grundzüge der städtebaulichen Entwicklung "Nördlicher Ortseingang" (PDF|725 KB)
Öffentliche Bekanntmachung - Aufstellungsbeschluss Bebauungsplan „Östlich der Egartstraße“
Der Gemeinderat der Gemeinde Grosselfingen hat am 18.12.2019 in öffentlicher Sitzung gemäß § 2 Abs. 1 Baugesetzbuch (BauGB) beschlossen, den Bebauungsplan und die örtlichen Bauvorschriften „Östlich der Egartstraße“ im beschleunigten Verfahren nach § 13a BauGB ohne Durchführung einer Umweltprüfung nach § 2 Abs. 4 BauGB aufzustellen.
Der Beschluss wird hiermit gemäß § 2 Abs. 1 Satz 2 BauGB öffentlich bekannt gemacht.
Geltungsbereich
Das Plangebiet liegt innerhalb der Ortslage, direkt nördlich des historischen Ortskerns von Grosselfingen östlich der Straße „Egartstraße“ bzw. nördlich der Straße „Schrietgasse“ und bezieht die Flurstücke 586/2, 587, 588, 589, 590, 591, 597/2, 601, 612, 613/1 und 619/1 vollständig und die Flurstücke 585/4 und 603/2 teilweise ein.
Der Geltungsbereich umfasst eine Fläche von rund 1,90 ha und ist im nachfolgend abgedruckten Lageplan durch eine dicke schwarz gestrichelte Linie abgegrenzt.
Ziel und Zweck der Planung
Um aufgrund der anhaltend hohen Nachfrage nach Wohnbaugrundstücken in der Gemeinde Grosselfingen den kurz- und mittelfristigen Bedarf decken zu können, soll für das Plangebiet eine ortsübliche und städtebaulich geregelte Bebauung für Wohnzwecke innerhalb der Ortslage ausgewiesen werden.
Ziel der Planung ist es, in diesem Bereich eine ortstypische, aufeinander abgestimmte und hochwertige Bebauung mit Wohngebäuden zu ermöglichen, sowie eine gute Einbindung in das Ortsbild zu erhalten.
Gelegenheit zur Äußerung und Erörterung
Der Öffentlichkeit (hierzu zählen auch Kinder und Jugendliche) wird Gelegenheit gegeben sich über die allgemeinen Ziele und Zwecke sowie die wesentlichen Auswirkungen der Planung zu unterrichten. Aufgrund der Zielsetzung der Gemeinde eines transparenten Dialogs mit ihren Bürgern, wird eine frühzeitige Beteiligung der Öffentlichkeit in Form einer Informationsveranstaltung durchgeführt. Hierzu erfolgt eine öffentliche Bekanntmachung.
Grosselfingen, 18.12.2019
Gez. Franz Josef Möller, Bürgermeister
Öffentliche Bekanntmachung - Aufstellungsbeschluss Bebauungsplan „Unter Lauen II“
Der Gemeinderat der Gemeinde Grosselfingen hat am 18.12.2019 in öffentlicher Sitzung gemäß § 2 Abs. 1 Baugesetzbuch (BauGB) beschlossen, den Bebauungsplan und die örtlichen Bauvorschriften „Untere Lauen II“ im beschleunigten Verfahren nach § 13b BauGB (Einbeziehung von Außenbereichsflächen in das beschleunigte Verfahren) ohne Durchführung einer Umweltprüfung nach § 2 Abs. 4 BauGB aufzustellen.
Der Beschluss wird hiermit gemäß § 2 Abs. 1 Satz 2 BauGB öffentlich bekannt gemacht.
Geltungsbereich
Das Plangebiet liegt am nördlichen Ortsrand von Grosselfingen in Verlängerung der Straßen „Unter Lauen“ und „Baumgartenweg“ und bezieht die Flurstücke 1972, 1975, 1976, 1977, 1978,1979,1980, 1981, 1982, 1983, 1984, 1985, 1986 und 1987 vollständig und die Flurstücke 1883 (Straße Unter Lauen), 1960 (Feldweg), 1995 und 467 teilweise ein.
Der Geltungsbereich umfasst eine Fläche von rund 3,05 ha und ist im nachfolgend abgedruckten Lageplan durch eine dicke schwarz gestrichelte Linie abgegrenzt.
Ziel und Zweck der Planung
Um aufgrund der anhaltend hohen Nachfrage nach Wohnbaugrundstücken in der Gemeinde Grosselfingen den kurz- und mittelfristigen Bedarf decken zu können, soll für das Plangebiet eine ortsübliche und städtebaulich geregelte Bebauung für Wohnzwecke im direkten Anschluss an die bestehenden Wohngebiete ausgewiesen werden.
Ziel der Planung ist es, in diesem Bereich eine ortstypische, aufeinander abgestimmte und hochwertige Bebauung mit Wohngebäuden zu ermöglichen, sowie eine gute Einbindung in das Orts- und Landschaftsbild zu erhalten.
Gelegenheit zur Äußerung und Erörterung
Der Öffentlichkeit (hierzu zählen auch Kinder und Jugendliche) wird Gelegenheit gegeben sich über die allgemeinen Ziele und Zwecke sowie die wesentlichen Auswirkungen der Planung zu unterrichten. Aufgrund der Zielsetzung der Gemeinde eines transparenten Dialogs mit ihren Bürgern, wird eine frühzeitige Beteiligung der Öffentlichkeit in Form einer Informationsveranstaltung durchgeführt. Hierzu erfolgt eine öffentliche Bekanntmachung.
Grosselfingen, 18.12.2019
Gez. Franz Josef Möller, Bürgermeister
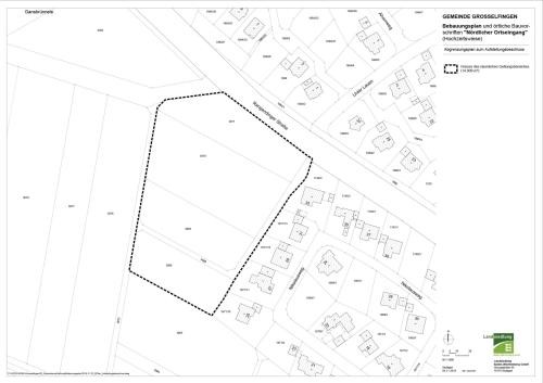
Öffentliche Bekanntmachung - Aufstellungsbeschluss Bebauungsplan „Nördlicher Ortseingang“
Der Gemeinderat der Gemeinde Grosselfingen hat am 18.12.2019 in öffentlicher Sitzung gemäß § 2 Abs. 1 Baugesetzbuch (BauGB) beschlossen, den Bebauungsplan und die örtlichen Bauvorschriften „Nördlicher Ortseingang“ im beschleunigten Verfahren nach
§ 13b BauGB (Einbeziehung von Außenbereichsflächen in das beschleunigte Verfahren) ohne Durchführung einer Umweltprüfung nach § 2 Abs. 4 BauGB aufzustellen.
Der Beschluss wird hiermit gemäß § 2 Abs. 1 Satz 2 BauGB öffentlich bekannt gemacht.
Geltungsbereich
Das Plangebiet liegt am nordwestlichen Ortsrand von Grosselfingen südwestlich der Rangendinger Straße und bezieht die Flurstücke 3066, 3068, 3069, 3070 und 3071 vollständig ein.
Der Geltungsbereich umfasst eine Fläche von rund 1,49 ha und ist im nachfolgend abgedruckten Lageplan durch eine dicke schwarz gestrichelte Linie abgegrenzt.
Ziel und Zweck der Planung
Um aufgrund der anhaltend hohen Nachfrage nach Wohnbaugrundstücken in der Gemeinde Grosselfingen den kurz- und mittelfristigen Bedarf decken zu können, soll für das Plangebiet eine ortsübliche und städtebaulich geregelte Bebauung für Wohnzwecke im direkten Anschluss an die bestehenden Wohngebiete ausgewiesen werden.
Ziel der Planung ist es, in diesem Bereich eine ortstypische, aufeinander abgestimmte und hochwertige Bebauung mit Wohngebäuden zu ermöglichen, sowie eine gute Einbindung in das Orts- und Landschaftsbild zu erhalten.
Gelegenheit zur Äußerung und Erörterung
Der Öffentlichkeit (hierzu zählen auch Kinder und Jugendliche) wird Gelegenheit gegeben sich über die allgemeinen Ziele und Zwecke sowie die wesentlichen Auswirkungen der Planung zu unterrichten. Aufgrund der Zielsetzung der Gemeinde eines transparenten Dialogs mit ihren Bürgern, wird eine frühzeitige Beteiligung der Öffentlichkeit in Form einer Informationsveranstaltung durchgeführt. Hierzu erfolgt eine öffentliche Bekanntmachung.
Grosselfingen, 18.12.2019
Gez. Franz Josef Möller, Bürgermeister



